Kontakt
Nr oferty: 46960/3877/OGS

Zaciszne działki 3198 - 4266 m2 blisko lasu!

Kopisk zobacz na mapie

175 890 PLN

Szczegóły oferty

Cena:
175 890,00 zł
Powierzchnia działki:
3 198,00 m2
Cena za m2:
55,00 zł
Szerokość działki (mb.):
25,00 m
Długość działki (mb.):
35,00 m
Ukształtowanie działki:
Płaska
Ogrodzenie:
Brak
Przeznaczenie działki:
Rolno-budowlana
Kształt działki:
Prostokąt
Plan miejscowy:
Brak planu miejscowego
Id oferty:
46960/3877/OGS

Opis

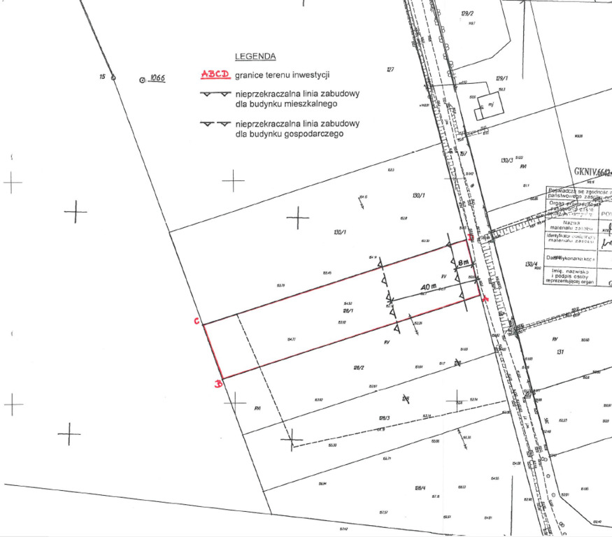
Polecamy malowniczo położone działki w miejscowości Kopisk w gm. Dobrzyniewo Duże. Kompleks z możliwością uzyskania Warunków Zabudowy pod inwestycje 4 domów w zabudowie zagrodowej. Wszystkie działki w bezpośrednim sąsiedztwie lasu.

nr geodezyjne:
128/1 - pow. 3198 m2. Działka z uzyskaną decyzją na budowę budynku mieszkalnego (parterowego z poddaszem użytkowym) oraz budynku gospodarczego w zabudowie zagrodowej, wraz z niezbędnymi urządzeniami budowlanymi. Na pozostałe  działki również  można  ubiegać  się o WZ.

128/2 - pow. 3198 m2  możliwe warunki zabudowy. Cena 175 890  PLN
128/3 - REZERWACJA
128/4 - SPRZEDANE

W Planie  Ogólnym gm. Dobrzyniewo na VI.2026 działki  planowane  są w ok. 1/3 powierzchni pod budownictwo jednorodzinne (SJ), a w ok. 2/3 pod tereny otwarte (SO)

Media:
- prąd bezpośrednio  w drodze,
-  woda w drodze dojazdowej w odległości ok. 150 m

Lokalizacja:

- odległość od centrum Białegostoku 20 km,

po więcej informacji zapraszam do kontaktu:

Stanisław Drobiński


Licencja zawodowa pośrednika
w obrocie nieruchomościami
Nr 17292

Oferta Laureata Konkursu Lider Nieruchomości Otodom 2020  i 2021 !

Zapewniamy Państwu pomoc prawną przy zakupie nieruchomości oraz przy uzyskaniu kredytu.

Niniejsze ogłoszenie nie stanowi oferty w rozumieniu Kodeksu Cywilnego, lecz ma charakter informacyjny.

Przedstawione wizualizacje i grafiki mają charakter wyłącznie poglądowy i stanowią wyłącznie materiał pomocniczy, ułatwiający zorientowanie się w ogólnym wyglądzie oferowanej nieruchomości.

Niniejsze ogłoszenie wraz z jego elementami jest własnością Północ Nieruchomości Sp z o.o. lub podmiotu współpracującego. Wszelkie prawa zastrzeżone. Kopiowanie, rozpowszechnianie oraz korzystanie z niniejszych materiałów w jakikolwiek inny sposób wykraczający poza dozwolony użytek określony przepisami ustawy z 4 lutego 1994 r. o prawie autorskim i prawach pokrewnych (Dz. U. 1994, nr 24 poz. 83 z późn. zm.) bez pisemnej zgody Północ Nieruchomości Sp z o.o. lub podmiotów współpracujących jest zabronione i może stanowić podstawę odpowiedzialności cywilnej oraz karnej.

Niniejsze materiały stanowią tajemnicę przedsiębiorstwa PÓŁNOC NIERUCHOMOŚCI Sp. z o.o. w rozumieniu ustawy z dnia 16 kwietnia 1993 r. o zwalczaniu nieuczciwej konkurencji (Dz. U. z 2003 r., Nr 153, poz. 1503 z późn. zm.).

Mapa

Zapytaj o tę ofertę

Lub zadzwoń