Kontakt
Nr oferty: 46322/3877/OGS

Uzbrojona działka budowlana MPZP mieszkaniowo-usł.

Jeziorany, Polna zobacz na mapie

69 900 PLN

Szczegóły oferty

Cena:
69 900,00 zł
Powierzchnia działki:
1 000,00 m2
Cena za m2:
69,90 zł
Szerokość działki (mb.):
20,00 m
Długość działki (mb.):
50,00 m
Ukształtowanie działki:
Płaska
Ogrodzenie:
Brak
Przeznaczenie działki:
Budowlana
Kształt działki:
Prostokąt
Plan miejscowy:
Plan zagospodarowania przestrzennego
Id oferty:
46322/3877/OGS

Opis

Wyjątkowa oferta sprzedaży działki budowlanej w Jezioranach!

Zapraszam do zapoznania się z ofertą sprzedaży działki o powierzchni 1000 m², zlokalizowanej przy ul. Polnej w malowniczym miasteczku Jeziorany, zaledwie 40 minut od Olsztyna.
Działka znajduje się w cichej i spokojnej okolicy, idealnej dla osób ceniących bliskość natury i spokój, jednocześnie zapewniając łatwy dostęp do miasta poprzez wygodne trasy (S16, DW595).

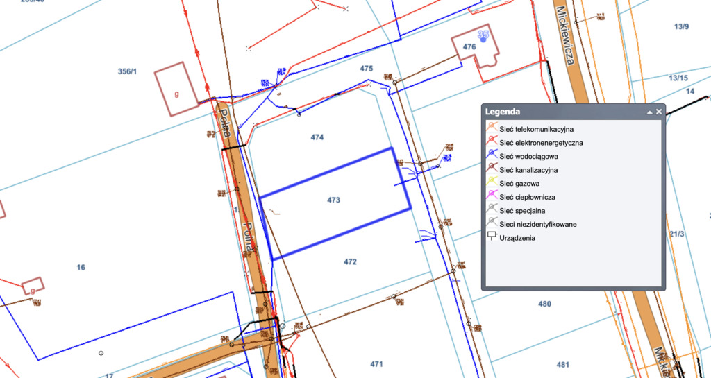
Działka objęta jest Miejscowym Planem Zagospodarowania Przestrzennego (MPZP), oznaczeniem MU - zabudowa mieszkaniowo-usługowa.
Idealna dla osób marzących o budowie domu na uboczu, w otoczeniu zieleni, z pełnym dostępem do miejskiej infrastruktury.

W okolicy znajdziesz przepiękne jeziora Wójtówko i Pierścień oraz okoliczne lasy, które oferują liczne możliwości do aktywnego wypoczynku. W pobliżu działki znajdują się również wszystkie potrzebne udogodnienia: sklepy, paczkomaty, restauracje oraz przychodnie.

Pełne uzbrojenie w drodze: wodociąg, sieć elektroenergetyczna oraz kanalizacja.

Ta oferta to doskonała okazja zarówno dla osób prywatnych, jak i przedsiębiorców planujących rozwój działalności w atrakcyjnej okolicy.

Jeziorany - miasto, obręb MIASTO JEZIORANY (0001), numer dz.473

Zapraszam do kontaktu po więcej szczegółów.

Niniejsze ogłoszenie nie stanowi oferty w rozumieniu Kodeksu Cywilnego, lecz ma charakter informacyjny.

Przedstawione wizualizacje i grafiki mają charakter wyłącznie poglądowy i stanowią wyłącznie materiał pomocniczy, ułatwiający zorientowanie się w ogólnym wyglądzie oferowanej nieruchomości.

Niniejsze ogłoszenie wraz z jego elementami jest własnością Północ Nieruchomości Sp z o.o. lub podmiotu współpracującego. Wszelkie prawa zastrzeżone. Kopiowanie, rozpowszechnianie oraz korzystanie z niniejszych materiałów w jakikolwiek inny sposób wykraczający poza dozwolony użytek określony przepisami ustawy z 4 lutego 1994 r. o prawie autorskim i prawach pokrewnych (Dz. U. 1994, nr 24 poz. 83 z późn. zm.) bez pisemnej zgody Północ Nieruchomości Sp z o.o. lub podmiotów współpracujących jest zabronione i może stanowić podstawę odpowiedzialności cywilnej oraz karnej.

Niniejsze materiały stanowią tajemnicę przedsiębiorstwa PÓŁNOC NIERUCHOMOŚCI Sp. z o.o. w rozumieniu ustawy z dnia 16 kwietnia 1993 r. o zwalczaniu nieuczciwej konkurencji (Dz. U. z 2003 r., Nr 153, poz. 1503 z późn. zm.).

Mapa

Zapytaj o tę ofertę

Lub zadzwoń