Kontakt
Nr oferty: 47337/3877/OGS

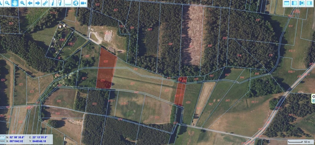
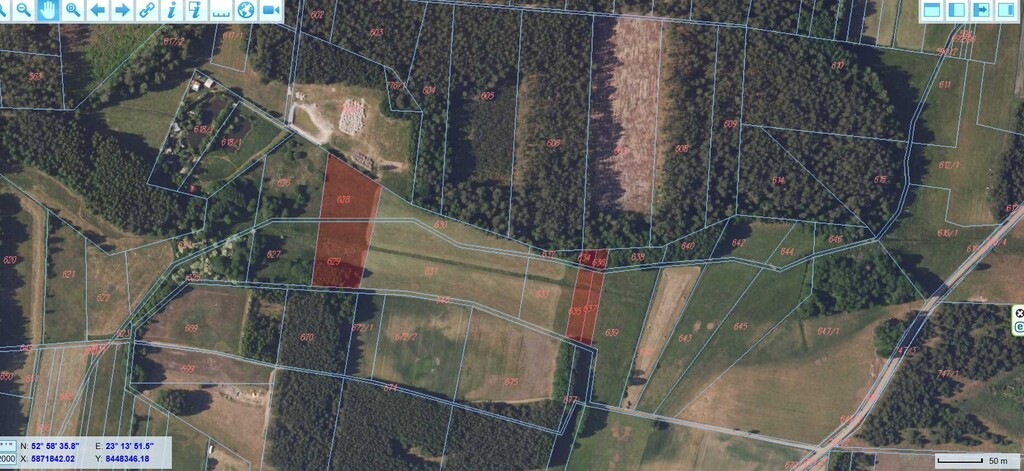
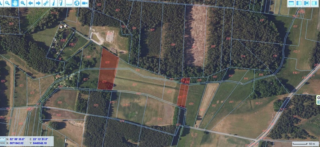
Działka leśna 0,3776 ha Krynickie gm. Zabłudów

Krynickie zobacz na mapie

25 000 PLN

Szczegóły oferty

Cena:
25 000,00 zł
Powierzchnia działki:
3 776,00 m2
Cena za m2:
6,62 zł
Szerokość działki (mb.):
28,50 m
Długość działki (mb.):
122,00 m
Ukształtowanie działki:
Lekko nachylona
Ogrodzenie:
Brak
Przeznaczenie działki:
Leśna
Kształt działki:
Trapez
Plan miejscowy:
Brak planu miejscowego
Id oferty:
47337/3877/OGS

Opis

Polecamy  działkę leśną o powierzchni 3776 m2 w malowniczej miejscowości Krynickie w gm. Zabłudów, pow. białostocki.
Las zlokalizowany w odległości ok. 350 od zabudowań  wsi, dojazd drogą  asfaltową i częściowo  drogą gruntową.(służebność  dojazdu przez działkę 584/1)

584/2 numer geodezyjny
Do kupienia również działka leśna  nr geodezyjny 565 o powierzchni  1,8806 ha cena 150 000 PLN ( 7,98/m2)


Klasoużytek  LSV , drzewostan około 50- letni : sosna, brzoza, klon.

Lokalizacja:
-Białystok 20 km,
-Zabłudów 7 km

We wsi znajduję się:
Środowiskowy Dom Samopomocy w Krynickich. Dzienny ośrodek wsparcia - miejsce przyjazne, pełne spokoju, zrozumienia i tolerancji.
Tężnia przy Środowiskowym Domu Samopomocy w Krynickich to doskonałe miejsce relaksu i poprawy zdrowia.

Obowiązkowy punkt na szlaku turystycznym Gminy Zabłudów.

Po więcej informacji zapraszam do kontaktu:





 Stanisław Drobiński






e-mail: sdrobinski@polnoc.pl




Licencja zawodowa pośrednika
w obrocie nieruchomościami
Nr 17292






Oferta Laureata Konkursu Lider Nieruchomości Otodom 2020 i 2021 !






Zapewniamy Państwu pomoc prawną przy zakupie nieruchomości oraz przy uzyskaniu kredytu.


Niniejsze ogłoszenie nie stanowi oferty w rozumieniu Kodeksu Cywilnego, lecz ma charakter informacyjny.

Przedstawione wizualizacje i grafiki mają charakter wyłącznie poglądowy i stanowią wyłącznie materiał pomocniczy, ułatwiający zorientowanie się w ogólnym wyglądzie oferowanej nieruchomości.

Niniejsze ogłoszenie wraz z jego elementami jest własnością Północ Nieruchomości Sp z o.o. lub podmiotu współpracującego. Wszelkie prawa zastrzeżone. Kopiowanie, rozpowszechnianie oraz korzystanie z niniejszych materiałów w jakikolwiek inny sposób wykraczający poza dozwolony użytek określony przepisami ustawy z 4 lutego 1994 r. o prawie autorskim i prawach pokrewnych (Dz. U. 1994, nr 24 poz. 83 z późn. zm.) bez pisemnej zgody Północ Nieruchomości Sp z o.o. lub podmiotów współpracujących jest zabronione i może stanowić podstawę odpowiedzialności cywilnej oraz karnej.

Niniejsze materiały stanowią tajemnicę przedsiębiorstwa PÓŁNOC NIERUCHOMOŚCI Sp. z o.o. w rozumieniu ustawy z dnia 16 kwietnia 1993 r. o zwalczaniu nieuczciwej konkurencji (Dz. U. z 2003 r., Nr 153, poz. 1503 z późn. zm.).

Mapa

Zapytaj o tę ofertę

Lub zadzwoń