Kontakt
Nr oferty: 46039/3877/OGS

Atrakcyjne działki budowlane, 2540 m2,Łubniki

Łubniki zobacz na mapie

355 600 PLN

Szczegóły oferty

Cena:
355 600,00 zł
Powierzchnia działki:
2 540,00 m2
Cena za m2:
140,00 zł
Szerokość działki (mb.):
77,00 m
Długość działki (mb.):
31,00 m
Ukształtowanie działki:
Płaska
Ogrodzenie:
Brak
Przeznaczenie działki:
Budowlana
Kształt działki:
Nieregularny
Plan miejscowy:
Brak planu miejscowego
Id oferty:
46039/3877/OGS

Opis

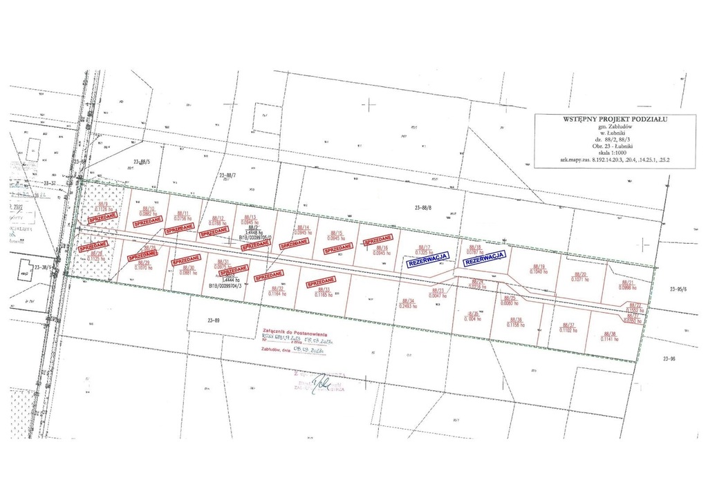
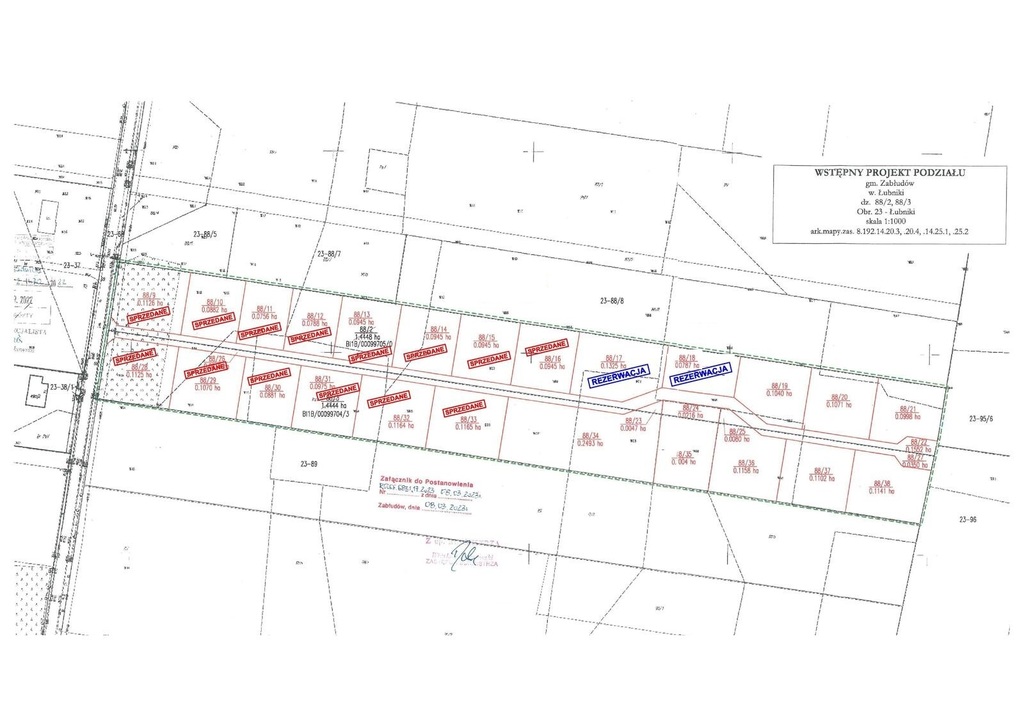
Polecamy działki budowlane pod zabudowę mieszkaniową jednorodzinną w miejscowości Łubniki gm. Zabłudów.

Zlokalizowane jedynie 4,5 km od Białegostoku, szybki dojazd drogą S19, ostatni kilometr wygodną drogą asfaltową o szerokości 9m.

Działki znajdują się na terenie objętym decyzją o warunkach zabudowy na budowę 24 budynków mieszkalnych w zabudowie jednorodzinnej wraz z niezbędną infrastrukturą techniczną.

W sąsiedztwie nowa zabudowa jednorodzinna, piękne tereny zielone, idealne do rekreacji i odpoczynku. Cicha i spokojna okolica.
W pobliżu stacja paliw oraz urokliwa wieś Łubniki.

Forma własności: własność, księga wieczysta

Media: prąd, woda w drodze, bezpośrednio przy działce.
Wjazd bezpośrednio z drogi asfaltowej.


W ofercie są również działki o powierzchniach od 787 m2 do 1325 m2, w cenie 130 zł/m2.


Oferta dostępna wyłącznie w biurze Północ Nieruchomości.

Doskonałe miejsce na budowę wymarzonego domu z szybkim i wygodnym dojazdem do Białegostoku lub jako działka inwestycyjna.

Zapraszam do obejrzenia działek na żywo.
Po więcej informacji zapraszam do kontaktu:
Agnieszka Bartoszewicz


Zapewniamy Państwu pomoc prawną przy zakupie nieruchomości oraz przy uzyskaniu kredytu.
Oferta Laureata Konkursu Lider Nieruchomości Otodom 2020 i 2021!

Niniejsze ogłoszenie nie stanowi oferty w rozumieniu Kodeksu Cywilnego, lecz ma charakter informacyjny.

Przedstawione wizualizacje i grafiki mają charakter wyłącznie poglądowy i stanowią wyłącznie materiał pomocniczy, ułatwiający zorientowanie się w ogólnym wyglądzie oferowanej nieruchomości.

Niniejsze ogłoszenie wraz z jego elementami jest własnością Północ Nieruchomości Sp z o.o. lub podmiotu współpracującego. Wszelkie prawa zastrzeżone. Kopiowanie, rozpowszechnianie oraz korzystanie z niniejszych materiałów w jakikolwiek inny sposób wykraczający poza dozwolony użytek określony przepisami ustawy z 4 lutego 1994 r. o prawie autorskim i prawach pokrewnych (Dz. U. 1994, nr 24 poz. 83 z późn. zm.) bez pisemnej zgody Północ Nieruchomości Sp z o.o. lub podmiotów współpracujących jest zabronione i może stanowić podstawę odpowiedzialności cywilnej oraz karnej.

Niniejsze materiały stanowią tajemnicę przedsiębiorstwa PÓŁNOC NIERUCHOMOŚCI Sp. z o.o. w rozumieniu ustawy z dnia 16 kwietnia 1993 r. o zwalczaniu nieuczciwej konkurencji (Dz. U. z 2003 r., Nr 153, poz. 1503 z późn. zm.).

Mapa

Zapytaj o tę ofertę

Lub zadzwoń