Kontakt

Atrakcyjna działka w Wólce Plebańskiej

Wólka Plebańska zobacz na mapie

560 000 PLN

Cena:
560 000,00 zł
Powierzchnia działki:
7 000,00 m2
Cena za m2:
80,00 zł
Ukształtowanie działki:
Płaska
Ogrodzenie:
Częściowe
Przeznaczenie działki:
Budowlana
Kształt działki:
Prostokąt
Id oferty:
39755/3877/OGS
Opis
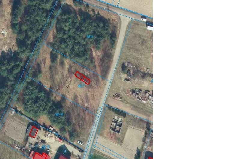
Sprzedam atrakcyjną działkę w Wólce Plebańskiej oddalonej od Białej Podlaskiej o 8 km.

Działka położona w cichej, spokojnej i malowniczej okolicy .

Powierzchnia działki 7000 m2, wymiary 60,70 m x 110,40m x 75,10 m x 98,50 m. Obok zabudowa jednorodzinna.

Istnieje możliwość sprzedaży jako trzy mniejsze.

Powierzchnia jednej 2900 m2, powierzchnia drugiej 2000 m2, powierzchnia trzeciej 2100 m2.

Szybki bezpośredni dojazd do centrum miasta.

Działka do bezpośredniej zabudowy.

Zapraszam do oglądania.

Klaudia Mikiciuk - Szpera
Doradca ds. nieruchomości

PÓŁNOC Nieruchomości Biała Podlaska
21-500 Biała Podlaska, ul. Warszawska 15

+48 885 851 172
kmikiciuk@polnoc.pl

Niniejsze ogłoszenie nie stanowi oferty w rozumieniu Kodeksu Cywilnego, lecz ma charakter informacyjny.

Przedstawione wizualizacje i grafiki mają charakter wyłącznie poglądowy i stanowią wyłącznie materiał pomocniczy, ułatwiający zorientowanie się w ogólnym wyglądzie oferowanej nieruchomości.

Niniejsze ogłoszenie wraz z jego elementami jest własnością Północ Nieruchomości Sp z o.o. lub podmiotu współpracującego. Wszelkie prawa zastrzeżone. Kopiowanie, rozpowszechnianie oraz korzystanie z niniejszych materiałów w jakikolwiek inny sposób wykraczający poza dozwolony użytek określony przepisami ustawy z 4 lutego 1994 r. o prawie autorskim i prawach pokrewnych (Dz. U. 1994, nr 24 poz. 83 z późn. zm.) bez pisemnej zgody Północ Nieruchomości Sp z o.o. lub podmiotów współpracujących jest zabronione i może stanowić podstawę odpowiedzialności cywilnej oraz karnej.

Niniejsze materiały stanowią tajemnicę przedsiębiorstwa PÓŁNOC NIERUCHOMOŚCI Sp. z o.o. w rozumieniu ustawy z dnia 16 kwietnia 1993 r. o zwalczaniu nieuczciwej konkurencji (Dz. U. z 2003 r., Nr 153, poz. 1503 z późn. zm.).

Mapa

Zapytaj o tę ofertę

Lub zadzwoń