Kontakt
Nr oferty: 47336/3877/OGS

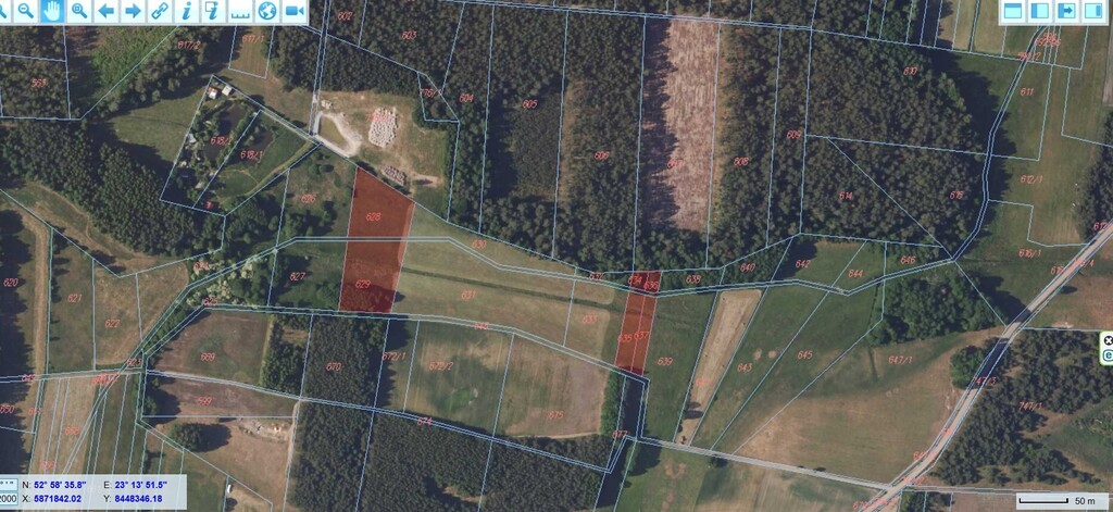
Rolna działka 0,8 ha Krynickie gm. Zabłudów

Krynickie zobacz na mapie

80 000 PLN

Szczegóły oferty

Cena:
80 000,00 zł
Powierzchnia działki:
8 022,00 m2
Cena za m2:
9,97 zł
Szerokość działki (mb.):
65,00 m
Długość działki (mb.):
150,00 m
Ukształtowanie działki:
Lekko nachylona
Ogrodzenie:
Częściowe
Przeznaczenie działki:
Rolna
Kształt działki:
Trapez
Plan miejscowy:
Brak planu miejscowego
Id oferty:
47336/3877/OGS

Opis

Polecamy działkę rolna w Krynickich gm. Zabłudów pow. białostocki.

 Numery geodezyjne to 628 i 629. Łączna powierzchnia  nieruchomości  to 0,8022 ha

Teren  ma  dostęp  do  drogi publicznej gminną droga  gruntową, suchą,  nie wyjeżdżoną. 

Media:
Skrzynka elektryczna w odległości ok 50 m na  prywatnej, sąsiedniej   działce.

Klasoużytki:

działka  628  powierzchni 0,3662 ha:
- Ł V 0,0046
- Ł VI 0,3357
- W-Ł VI  0,0259

działka 629 powierzchni 0,4360
- ŁV 0,1231
- Ł VI  0,2834
Obecnie  zaletą  nieruchomości są  jej  walory rekreacyjne, bliskość lasu, stawów oraz charakter rolny.
W przyszłości  istnieje  możliwość uzyskania  warunków zabudowy pod budownictwo zagrodowe ( dom plus  budynek  gospodarczy)




Lokalizacja:
-Białystok 20 km,
-Zabłudów 7 km

We wsi znajduję się:
Środowiskowy Dom Samopomocy w Krynickich. Dzienny ośrodek wsparcia - miejsce przyjazne, pełne spokoju, zrozumienia i tolerancji.
Tężnia przy Środowiskowym Domu Samopomocy w Krynickich to doskonałe miejsce relaksu i poprawy zdrowia.

Obowiązkowy punkt na szlaku turystycznym Gminy Zabłudów.


Po więcej informacji zapraszam do kontaktu:






 Stanisław Drobiński






e-mail: sdrobinski@polnoc.pl




Licencja zawodowa pośrednika
w obrocie nieruchomościami
Nr 17292






Oferta Laureata Konkursu Lider Nieruchomości Otodom 2020 i 2021 !






Zapewniamy Państwu pomoc prawną przy zakupie nieruchomości oraz przy uzyskaniu kredytu.


-  W-Ł VI 0,295

Niniejsze ogłoszenie nie stanowi oferty w rozumieniu Kodeksu Cywilnego, lecz ma charakter informacyjny.

Przedstawione wizualizacje i grafiki mają charakter wyłącznie poglądowy i stanowią wyłącznie materiał pomocniczy, ułatwiający zorientowanie się w ogólnym wyglądzie oferowanej nieruchomości.

Niniejsze ogłoszenie wraz z jego elementami jest własnością Północ Nieruchomości Sp z o.o. lub podmiotu współpracującego. Wszelkie prawa zastrzeżone. Kopiowanie, rozpowszechnianie oraz korzystanie z niniejszych materiałów w jakikolwiek inny sposób wykraczający poza dozwolony użytek określony przepisami ustawy z 4 lutego 1994 r. o prawie autorskim i prawach pokrewnych (Dz. U. 1994, nr 24 poz. 83 z późn. zm.) bez pisemnej zgody Północ Nieruchomości Sp z o.o. lub podmiotów współpracujących jest zabronione i może stanowić podstawę odpowiedzialności cywilnej oraz karnej.

Niniejsze materiały stanowią tajemnicę przedsiębiorstwa PÓŁNOC NIERUCHOMOŚCI Sp. z o.o. w rozumieniu ustawy z dnia 16 kwietnia 1993 r. o zwalczaniu nieuczciwej konkurencji (Dz. U. z 2003 r., Nr 153, poz. 1503 z późn. zm.).

Mapa

Zapytaj o tę ofertę

Lub zadzwoń