Kontakt
Nr oferty: 46618/3877/OGS

Działki z planem pod zabudowę mieszkaniową

Zaścianki, Ziemiańska zobacz na mapie

220 000 PLN

Szczegóły oferty

Cena:
220 000,00 zł
Powierzchnia działki:
785,00 m2
Cena za m2:
280,25 zł
Szerokość działki (mb.):
20,00 m
Długość działki (mb.):
32,00 m
Ukształtowanie działki:
Lekko nachylona
Ogrodzenie:
Brak
Przeznaczenie działki:
Budowlana
Kształt działki:
Trapez
Plan miejscowy:
Plan zagospodarowania przestrzennego
Id oferty:
46618/3877/OGS

Opis

Prezentujemy na sprzedaż działki pod zabudowę mieszkaniową w Zaściankach, Gmina Grabówka.

Nieruchomość położona jest przy ul. Ziemiańskiej w otoczeniu terenów otwartych oraz nowo powstającej zabudowy.

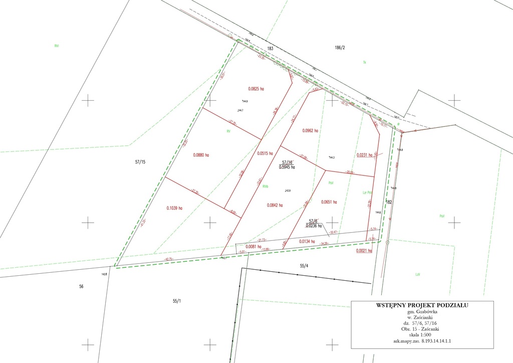
Działki powstaną z podziału działek nr 57/6 i 57/16 o aktualnej pow. 6181 m2.

Planowane działki:
1 - 825 m2 - 231.000 zł - REZERWACJA
2 - 878 m2 - 246.000 zł - REZERWACJA

3 - 1036 m2 - 290.000 zł
4 - 968 m2 - 271.000 zł 
5 - 920 m2 - 258.000 zł
6 - 785 m2 - 220.000 zł - REZERWACJA

W miejscowym planie zagospodarowania przestrzennego działka przeznaczona jest pod tereny zabudowy mieszkaniowej jednorodzinnej wolnostojącej wraz z zielenią urządzoną, obiektami i urządzeniami towarzyszącymi oraz w małej części na drogę publiczną klasy dojazdowej. 

Ustala się na niej następujące warunki zabudowy i zagospodarowania:
- powierzchnia zabudowy budynkami i budowlami działki lub terenu objętego inwestycją do 25 % jej powierzchni,
- powierzchnia biologicznie czynna nie mniej niż 50 % powierzchni działki,
- wysokość zabudowy do 10 m,
- geometria dachu-dachy o kącie nachylenia połaci dachowych do 45°,
- dachy w kolorze od barwy ceglastej do ciemnobrązowej,
- elewacje białe lub w kolorach jasnych, pastelowych, z dopuszczeniem akcentów w innych kolorach i materiałach.

Uzbrojenie: prąd - bezpośrednio w drodze.
Gaz, wodociąg, kanalizacja - 400 m.

Oferta dostępna wyłącznie w biurze Północ Nieruchomości.

Zapraszam do kontaktu i zobaczenia nieruchomości na żywo!

Niniejsze ogłoszenie nie stanowi oferty w rozumieniu Kodeksu Cywilnego, lecz ma charakter informacyjny.

Przedstawione wizualizacje i grafiki mają charakter wyłącznie poglądowy i stanowią wyłącznie materiał pomocniczy, ułatwiający zorientowanie się w ogólnym wyglądzie oferowanej nieruchomości.

Niniejsze ogłoszenie wraz z jego elementami jest własnością Północ Nieruchomości Sp z o.o. lub podmiotu współpracującego. Wszelkie prawa zastrzeżone. Kopiowanie, rozpowszechnianie oraz korzystanie z niniejszych materiałów w jakikolwiek inny sposób wykraczający poza dozwolony użytek określony przepisami ustawy z 4 lutego 1994 r. o prawie autorskim i prawach pokrewnych (Dz. U. 1994, nr 24 poz. 83 z późn. zm.) bez pisemnej zgody Północ Nieruchomości Sp z o.o. lub podmiotów współpracujących jest zabronione i może stanowić podstawę odpowiedzialności cywilnej oraz karnej.

Niniejsze materiały stanowią tajemnicę przedsiębiorstwa PÓŁNOC NIERUCHOMOŚCI Sp. z o.o. w rozumieniu ustawy z dnia 16 kwietnia 1993 r. o zwalczaniu nieuczciwej konkurencji (Dz. U. z 2003 r., Nr 153, poz. 1503 z późn. zm.).

Mapa

Zapytaj o tę ofertę

Lub zadzwoń