Kontakt

Piękne siedlisko w Alojzowie- gmina Leśniowice

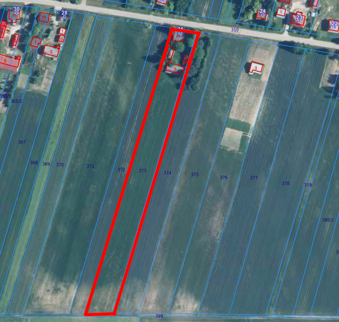
Alojzów zobacz na mapie

195 000 PLN

Cena:
195 000,00 zł
Powierzchnia:
100,00 m2
Cena za m2:
1 950,00 zł
Powierzchnia użytkowa:
100,00 m2
Powierzchnia działki:
7 000,00 m2
Liczba pokoi:
4
Typ domu:
Wolnostojący
Ciepła woda:
tak
Id oferty:
41830/3877/ODS
Opis
Mam przyjemność przedstawic Państwu niesamowite siedlisko idealne dla osób ceniących sobie przede wszystkim spokój i poszukujących ucieczki od miejskiego zgiełku.

To urokliwe siedlisko z domkiem o powierzchni około 100 m2 znajduje się w miejscowości Alojzów (gm. Leśniowice) na działce o powierzchni 7000m2. 

Dom składa się z:
- przedpokój, 
- kuchnia, 
- 3 przestronne pokoje 
- spiżarka
- łazienka 
- ganek

Nieruchomość posiada również murowany budynek gospodarczy jako dodatkowa przestrzeń do przechowywania.

Media:
- prąd,
- woda miejska
- szambo 
-ogrzewanie: piec kaflowy

Informacje dodatkowe:
-okna drewniane


Działka w kształcie prostokąta o wymiarach:
-długość: 317 m
-szerokość: 27 m

Nieruchomość zlokalizowana jest 10 km od Wojsławic; 22km od Chełma. 

Cicha, spokojna i zielona okolica zabudowań jednorodzinnych i gospodarstw rolnych.

Piękno natury oraz bliskość zarówno do miasta, jak i do rekreacyjnych obszarów czynią tę nieruchomość idealnym miejscem dla osób pragnących znaleźć harmonię i spokój w otoczeniu przyrody.

Zapraszam do kontaktu!

Patrycja Szmagalska
518 524 828
pszmagalska@polnoc.pl

Niniejsze ogłoszenie nie stanowi oferty w rozumieniu Kodeksu Cywilnego, lecz ma charakter informacyjny.

Przedstawione wizualizacje i grafiki mają charakter wyłącznie poglądowy i stanowią wyłącznie materiał pomocniczy, ułatwiający zorientowanie się w ogólnym wyglądzie oferowanej nieruchomości.

Niniejsze ogłoszenie wraz z jego elementami jest własnością Północ Nieruchomości Sp z o.o. lub podmiotu współpracującego. Wszelkie prawa zastrzeżone. Kopiowanie, rozpowszechnianie oraz korzystanie z niniejszych materiałów w jakikolwiek inny sposób wykraczający poza dozwolony użytek określony przepisami ustawy z 4 lutego 1994 r. o prawie autorskim i prawach pokrewnych (Dz. U. 1994, nr 24 poz. 83 z późn. zm.) bez pisemnej zgody Północ Nieruchomości Sp z o.o. lub podmiotów współpracujących jest zabronione i może stanowić podstawę odpowiedzialności cywilnej oraz karnej.

Niniejsze materiały stanowią tajemnicę przedsiębiorstwa PÓŁNOC NIERUCHOMOŚCI Sp. z o.o. w rozumieniu ustawy z dnia 16 kwietnia 1993 r. o zwalczaniu nieuczciwej konkurencji (Dz. U. z 2003 r., Nr 153, poz. 1503 z późn. zm.).

Mapa

Zapytaj o tę ofertę

Lub zadzwoń