Kontakt
Nr oferty: 46389/3877/OGS

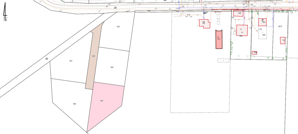
Działka budowlana Machowino, gm.Ustka

Machowino zobacz na mapie

85 000 PLN

Szczegóły oferty

Cena:
85 000,00 zł
Powierzchnia działki:
1 176,00 m2
Cena za m2:
72,28 zł
Szerokość działki (mb.):
32,10 m
Długość działki (mb.):
42,40 m
Ukształtowanie działki:
Płaska
Ogrodzenie:
Brak
Przeznaczenie działki:
Budowlana
Kształt działki:
Prostokąt
Plan miejscowy:
Studium uwarunkowań i kierunków zagospodarowania przestrzennego
Id oferty:
46389/3877/OGS

Opis

Na sprzedaż działka budowlana w miejscowości Machowino Kolonia w gminie Ustka, zaledwie 6,5 km od morza Bałtyckiego. Działka o powierzchni 1176m2,  niezabudowana  o wymiarach 32m x 53 m położona na skraju wsi. Teren płaski częściowo zakrzewiony, w otoczeniu pól uprawnych i lasu. Działka położona na terenie objętym Studium uwarunkowań i kierunków zagospodarowania przestrzennego Gminy Ustka jako tereny rozwoju zabudowy mieszkaniowej i usługowej.  Dodatkowo na działkę zostały wydane warunki zabudowy na budowę domu jednorodzinnego z garażem. Cisza, spokój, w okolicy las oraz niska zabudowa jednorodzinna, stwarza miejsce idealnym do zamieszkania  całorocznego lub sezonowo pod zabudowę letniskową. 

Najważniejsze informacje:
- kształt nieregularny o wymiarach 32m x 53m
- powierzchnia działki to 1176m2
- teren płaski, zakrzewiony
- dojazd drogą utwardzoną,
- wydane warunki zabudowy na budowę domu jednorodzinnego z garażem
- w drodze media : kanalizacja sanitarna, przyłącze wodociągowe , prąd oraz telekomunikacja
- teren przeznaczony pod zabudowę mieszkaniową i usługi
- odległość od morza ok.6,5km
-odległość od Ustki ok.6,5 km
- otoczenie pól, lasu, zabudowy jednorodzinnej

Machowino to wieś położona w otulinie lasów zaledwie 7 km od morza Bałtyckiego w gminie Ustka, przy trasie łączącej  Słupsk i Ustkę. W okolicy rzeka Słupia. Miejsce idealne dla osób szukających ciszy i spokoju, inwestycyjnie pod zabudowę jednorodzinną lub letniskową.



Zapraszamy na prezentację!
PÓŁNOC Nieruchomości
Wioletta Szkrawan
doradca ds. nieruchomości
tel.693-143-034
wszkrawan@polnoc.pl       www.polnoc.pl

Niniejsze ogłoszenie nie stanowi oferty w rozumieniu Kodeksu Cywilnego, lecz ma charakter informacyjny.

Przedstawione wizualizacje i grafiki mają charakter wyłącznie poglądowy i stanowią wyłącznie materiał pomocniczy, ułatwiający zorientowanie się w ogólnym wyglądzie oferowanej nieruchomości.

Niniejsze ogłoszenie wraz z jego elementami jest własnością Północ Nieruchomości Sp z o.o. lub podmiotu współpracującego. Wszelkie prawa zastrzeżone. Kopiowanie, rozpowszechnianie oraz korzystanie z niniejszych materiałów w jakikolwiek inny sposób wykraczający poza dozwolony użytek określony przepisami ustawy z 4 lutego 1994 r. o prawie autorskim i prawach pokrewnych (Dz. U. 1994, nr 24 poz. 83 z późn. zm.) bez pisemnej zgody Północ Nieruchomości Sp z o.o. lub podmiotów współpracujących jest zabronione i może stanowić podstawę odpowiedzialności cywilnej oraz karnej.

Niniejsze materiały stanowią tajemnicę przedsiębiorstwa PÓŁNOC NIERUCHOMOŚCI Sp. z o.o. w rozumieniu ustawy z dnia 16 kwietnia 1993 r. o zwalczaniu nieuczciwej konkurencji (Dz. U. z 2003 r., Nr 153, poz. 1503 z późn. zm.).

Mapa

Zapytaj o tę ofertę

Lub zadzwoń